Devastador balance tras el paso del huracán Huracán Melissa.
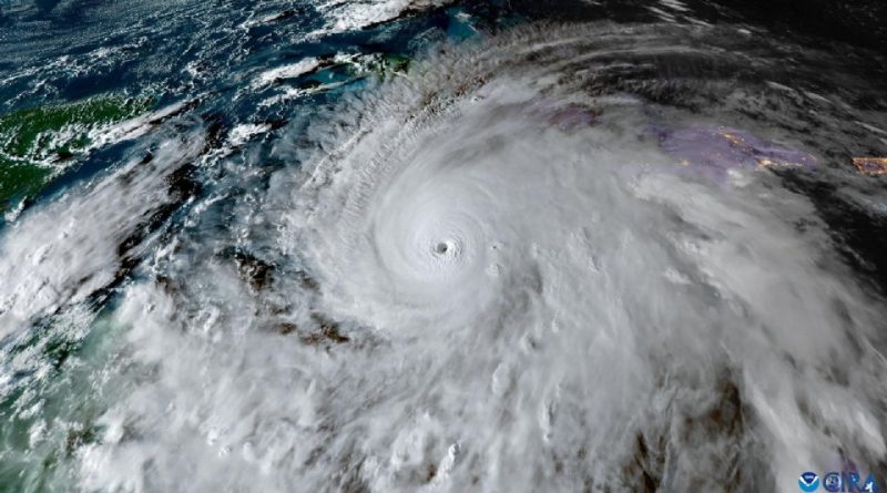
El huracán Melissa tocó tierra el 28 de octubre de 2025 en la isla de Jamaica como categoría 5, con vientos sostenidos que alcanzaron los 185 mph (298 km/h). A partir de ese momento, la tormenta avanzó hacia el este-noreste afectando también a Cuba, Haití y otras naciones caribeñas.
2. Daños humanos y desplazamientos
- En Haití, se reportaron al menos 25 muertes a causa de inundaciones y deslizamientos, especialmente en la comuna de Petit‑Goâve.
- En Jamaica, se confirman varias víctimas mortales, aunque la cifra completa aún está en evaluación y decenas de miles de personas fueron desplazadas o han buscado refugio.
- En toda la región, los sistemas de salud y servicios básicos resultaron gravemente afectados: hospitales, clínicas, suministro de agua potable, electricidad y telecomunicaciones sufrieron interrupciones.
En Jamaica, los datos satelitales recogidos por Programa de las Naciones Unidas para el Desarrollo (UN PD) estiman que más de 4.8 millones de toneladas de escombros se generaron solo en la región oeste de la isla equivalente a unos 480 000 camiones estándar debido al huracán.
Además, se estima que hasta el 76 % de las estructuras en algunas zonas han sufrido daños visibles, según análisis de inteligencia de infraestructuras.
Los sectores de turismo, agricultura y construcción han sido especialmente afectados: techos arrancados, líneas de energía colapsadas, carreteras bloqueadas por deslizamientos.
Los organismos internacionales y gobiernos locales han enfatizado la necesidad de asistencia inmediata para la limpieza de escombros, restauración de infraestructuras básicas y apoyo a las familias desplazadas. En palabras del representante del UN PD en Jamaica: “Las comunidades enteras están rodeadas por escombros… la remoción rápida es esencial”.
